Search just our sites by using our customised search engine


Unique Cottages | Electric Scotland's Classified Directory
 

Click here to get a Printer Friendly PageSmiley

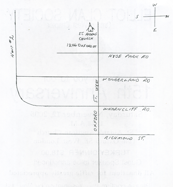
Elliot Clan Society, Ontario West Chapter



Back


 


This comment system requires you to be logged in through either a Disqus account or an account you already have with Google, X, Facebook or Yahoo. In the event you don't have an account with any of these companies then you can create an account with Disqus. All comments are moderated so they won't display until the moderator has approved your comment.

comments powered by Disqus

Quantcast